收回国有土地使用权公告 2023年07月03日  

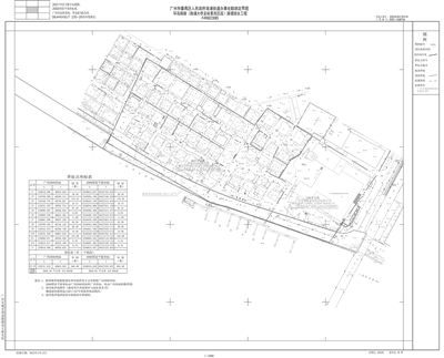
  根据《中华人民共和国土地管理法》第五十八条有关规定,经广州市人民政府批准,同意依法收回位于广州市番禺区洛浦街莱茵花园(北区)地段,用地面积为3929平方米的国有土地使用权(用地范围详见附图)。收回后,拟作为洛溪环岛南路(南浦大桥至裕景西区段)路堤结合工程项目用地,并由广州市番禺区人民政府洛浦街道办事处对土地原权属人依法给予补偿。附件:收回国有土地使用权公告附图

  广州市规划和自然资源局番禺区分局

  2023年5月26日